Sonora, CA – The Tuolumne County Board of Supervisors voted in favor of a sanctioned homeless camp that would be up for review after a year.
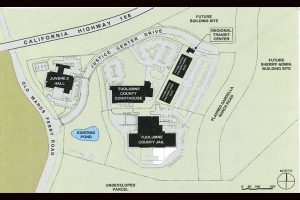
As we reported here last week, the camping space for homeless residents would be on undeveloped vacant parcels on Justice Center Drive near the new county jail, courthouse, and juvenile hall. The site would need improvements, such as grading and rock work, costing about $80,000. Potable water, garbage collection, and toilets will be provided. This would be paid for with a $125,000 grant and there is available funding to keep it operational for at least three years.
The Tuolumne County Sheriff’s Office is likely to provide enforcement. Campers are prohibited from bringing weapons, illegal drugs, alcohol, loud music, or fires. District 4 Supervisor Kathleen Haff took issue with one comparison, saying, “I do take exception to comparing this potential safe camping site with Camp Hope. Camp Hope was a free-for-all. It was on private property; nobody was managing it. This is not that. We should have a six-month trial on this to see how effective we can be. And if we’re not being effective, we need to have a way of scrapping it.”
Camp Hope, off Stockton Road, was closed by the county.
District 2 Supervisor Ryan Campbell liked that idea of it being a pilot program but thought it should be for more than six months, stating, “I can agree with trying this as a pilot project. You have 125 thousand dollars. The estimate is that it is going to get us to three years. I’m a little skeptical on that, but I’m comfortable going forward in a pilot program, say, a year. It can take a while to onboard things like that.”
Campbell was also worried that, possibly during a bad budget year, to keep the camp running, the board would be asked to draw money from the general fund, taking money away from services the community expects.
The final vote was 4 to 1, with Haff voting against it, noting that she had hoped the pilot program would come back for review before the end of the year.

